摘要:研究了SnO2在水泥熟料燒成中的作用,結果表明生料中含有適量的SnO2可改善熟料的易燒性,降低熟料的燒成溫度,促進C3S晶體的形成和發育;但過量SnO2可與水泥中的鈣結合形成2CaO·SnO2,不利于C3S的生成;SnO2固溶在C3A中。
關鍵詞:SnO2,熟料燒成,C3S,硅酸鹽水泥
0 引言
近幾十年來,隨著人們環保意識的日益增強,如何消除工業污染特別是妥善處理工業廢渣,引起了各國的普遍重視。而水泥廠要利用這些廢渣,必須對其中所含的微量元素對水泥熟料礦物形成的作用進行深入的研究。以前許多水泥工作者對Zn2+〔1〕、Ba2+〔2〕、Mn4+〔3〕等離子進行了大量的研究,為工業生產提供了可靠的理論依據。但對于錫離子對熟料燒成的作用機理,國內外尚未見系統深入的研究。本文在試驗的基礎上,通過巖相、XRD、SEM等分析測試手段,探索了錫離子對水泥熟料燒成的作用,為含錫廢渣應用于水泥工業提供理論參考。
1 試驗過程
1.1 生料配制
依據KH=1.00,SM=1.85,IM=1.15用分析純Al2O3、SiO2、Fe2O3、CaCO3(均過0.08mm方孔篩)配制生料,A組添加SnO2分析純如表1所示,B組只添加0.4%SnO2,然后分別混勻、加水成型、干燥備燒。

1.2 熟料制備
將上述試樣置于硅碳棒電阻爐中煅燒,升溫速度5℃/min,A組1350℃保溫30min;B組分別在1200℃、1250℃、1300℃、1350℃、1400℃煅燒,分別保溫30min,取出放在空氣中急冷。粉磨細度控制在0.08mm方孔篩篩余≤4%。
1.3 分析測試
用游離氧化鈣快速測定儀測定各熟料中fCaO的含量,XRD分析各個熟料中礦物的形成及含量,用金相顯微鏡觀察C3S晶體的生長發育情況。
2 結果與討論
2.1 SnO2含量對水泥熟料燒成的影響
表2是用乙醇-乙二醇法測出的A組各個試樣的fCaO含量和根據fCaO含量計算出的C3S的理論形成率。

圖1是SnO2含量與熟料中fCaO含量及C3S理論形成率的關系曲線。從圖中可以看出,隨著SnO2含量的增加,1350℃煅燒的熟料中fCaO含量不斷下降,C3S的理論形成率(α)持續上升,說明SnO2對降低熟料中的fCaO有顯著作用。另外還發現,SnO2含量為0.2%~0.6%的區間為fCaO、α變化緩慢的區域,在SnO2含量為0~0.2%和0.6%~3.0%的區間內fCaO下降、α上升最快,但變化的原因卻大不相同。圖2是1350℃燒成、保溫30min的不同SnO2含量的熟料的XRD圖譜。圖中顯示,SnO2含量為0~0.6%的范圍內C3S的特征峰(d0=3.040)持續增強,表明少量的SnO2可以促進C3S的形成。但隨著含量的進一步提高,C3S的衍射峰強度不斷下降,這與前面用fCaO換算出的C3S含量上升結果不一致。這是由于熟料中Sn4+與Ca2+反應生成了新的礦物,奪取了與硅反應生成C3S的鈣資源,導致C3S含量下降。圖3是含SnO23.0%的熟料的XRD圖譜,圖中出現了d值為4.953的新的衍射峰,它就是錫酸鈣(2CaO·SnO2)的特征峰。結合圖1和圖2可以得出生料中SnO2的最佳含量為0.2%~0.6%。



2.2 SnO2對熟料燒成溫度的影響
表3是SnO2含量分別為0、0.4%,分別于1200、1300、1350和1400℃下燒成,保溫時間為30min的B組硅酸鹽水泥熟料的fCaO數值及由此計算出的C3S理論形成率。圖4是依據表3繪制的不同SnO2含量下熟料中fCaO、C3S理論形成率與溫度的關系曲線,其中圖4(a)是熟料的fCaO對比曲線,圖4(b)是C3S形成率的對比曲線。圖4顯示,隨著溫度的升高(1200~1350℃),兩種試樣的fCaO都迅速減少,C3S形成率不斷升高,但含SnO2 0.4%的試樣1350~1400℃區間內fCaO含量已經很低且不再下降,C3S形成率曲線成一水平直線,表明溫度繼續升高C3S含量不再增長,1350℃熟料已基本燒成;不加SnO2的試樣在1350~1400℃fCaO相對較高且還在下降,C3S形成率相對較低且未到達峰值,其燒成溫度為1400℃左右。以上分析說明加入適量SnO2可以降低硅酸鹽水泥熟料的燒成溫度。
表3 不同SnO2含量、不同溫度下水泥熟料的fCaO和C3S形成率與燒成溫度的關系曲線


2.3 SnO2的固溶行為
圖5是不同SnO2摻量的熟料中C3A和C4AF的XRD衍射峰積分強度對比曲線。可以看出,隨著SnO2摻量的增加,C3A的XRD特征峰強度(d0=2.69)持續增強,表明在此范圍內,SnO2的摻入有利于熟料中C3A礦物的形成;同時,SnO2摻量增加,C3A的d值也逐漸增大(2.6935→2.6948→2.6961→2.6980),而熟料中的其它礦物的晶胞參數并沒有發生顯著變化,表明Sn4+固溶在C3A中。SnO2摻入后C3A的d值增大可以這樣解釋:Sn4+固溶進入C2A晶格,由于Sn4+的離子半徑(71pm)大于六配位Al3+的離子半徑(54pm),Sn4+取代Al3+形成C3Al1-xSnx固溶體造成鋁氧八面體晶格膨脹變形,晶胞變大,d值增加。

2.4 SnO2對C3S礦物形成的影響
從圖1和圖3可以看出,摻入少量的SnO2(0.2%~0.6%)可使熟料中C3S的含量不斷提高,表明熟料中含有少量的SnO2可以促進C3S的形成。這是因為SnO2的摻入使中間相C3A的含量增加,液相量增加;同時Sn4+取代Al3+剩余一個電子,造成局部電價不平衡,有利于降低液相粘度,這兩方面都促進能量的傳輸和離子的遷移,為C3S晶體的形成和發育提供良好的環境,C3S的形成量增加。但如果SnO2含量繼續增加(≥0.6%左右),SnO2將與熟料中的鈣結合成錫酸鈣(2CaO·SnO2),導致C3S含量下降,因此,過量的SnO2不利于C3S礦物的形成。
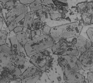
圖6是SnO2含量為0.2%(a)和3.0%(b)的熟料的顯微組織照片。圖6(a)顯示含適量SnO2的熟料中C3S晶粒粗大,晶界清楚,晶面清晰,分布均勻,發育良好,且晶體表面分布著一些缺陷,有利于提高C3S晶體的水化活性。從圖6(b)可以看出,熟料中液相含量很高,有些晶體部分被熔蝕掉了;另外,從圖2各熟料的XRD衍射圖也可以發現,含3.0%SnO2的熟料各衍射峰強度均比其它樣品的XRD衍射峰強度低,反應出熟料中SnO2含量過高液相量太多,高溫階段部分礦物溶于其中,急冷時來不及析晶,玻璃相增多,導致晶體熔蝕和各礦物衍射峰強度降低,它們都表明SnO2的摻入有利于增加熟料的液相量。

(a)

(b)
圖6 SnO2含量分別為0.2%和3.0%的金相顯微照片
3 結論
1)熟料中含有一定量的SnO2(0.2%~0.6%)可以改善熟料的易燒性,降低熟料的燒成溫度,促進C3S的形成和發育,增加熟料中C3S晶體的含量和表面缺陷;過量的SnO2雖可增加熟料的液相量,但由于與熟料中的鈣結合生成2CaO·SnO2導致鈣資源不足,不利于C3S的形成。
2)Sn4+在硅酸鹽水泥熟料中的行為是高溫時降低液相粘度,增加液相量,促進C3S晶體的形成和發育;同時,Sn4+主要固溶在C3A中,隨著SnO2含量的增加,熟料中C3A含量也相應增加。
3)含錫的工業廢渣作為外加劑應用于水泥工業,一方面可以改善水泥品質降低生產成本,另一方面可以妥善處理工業含錫廢渣、保護生態環境,具有良好的應用開發前景。關于錫在熟料燒成過程的揮發及其在尾氣中的含量和SnO2在水泥中固封后的溶解度問題,有待于進一步的研究。
參考文獻
1 鐘景裕等.ZnO對A礦形成、晶形結構及活性的影響.第四屆水泥學術會議論文選集,1992.395
2 Xu Xianyu,Yang Liqun.Burning Cement Clinker From the Raw Meal Using
Barite and Fluorspar as a Combined Additive.9th.ICCC,New Delphi India,1991.427
3 鄭洪武.錳鎂金屬離子對水泥熟料的形成、性能的影響〔學位論文〕.杭州:浙江大學,1996
















